UNA MUJER, AL SALÓN DE LA FAMA DEL FUTBOL
En el marco de la Tercera Investidura del Salón de la Fama del Futbol, Luis Fernando y Alfredo Tena, Bora Milutinovic, Paolo Maldini, Franco Baressi, George Weah, Mia Hamm, entre otros, fueron investidos en Pachuca/El Universal

DESTACA EPN LA CREACIÓN DE NUEVOS EMPLEOS
El presidente Peña Nieto inauguró la planta Nissan Aguascalientes 2, que tuvo una inversión de 2 mil millones de dólares, donde platicó de forma improvisada con los trabajadores a quienes expresó la generación de 3 mil empleos directos y casi 10 mil indirectos/El Universal

Tévez le regala su ‘10’ al papa Francisco.
El Pontífice recibe en audiencia privada a su compatriota y, de paso, le regala su playera que porta en la Juventus/Excélsior

Gol de Ludueña nominado por FIFA para ser el mejor del año
El tanto que el argentino consiguió en la jornada dos ante Tigres, está entre los diez seleccionados para ganar la distinción/Excélsior

Arquidiócesis clama por ayuda internacional para Filipinas
Ora la Iglesia en México tras el paso en Filipinas del tifón ‘Haiyán’, que devastó la ciudad de Tacloban, donde se habla de 10 mil muertos./Excélsior

Nigeria arrebata corona a México en Mundial Sub 17
Tri Femenil Sub 17 vence a EU y califica al Mundial
La Selección Femenil Mexicana Sub 17 de Futbol logró la hazaña al derrotar en tanda de tiros penales 4-2 (global 5-3) a Estados Unidos, para calificar a la Copa del Mundo de Costa Rica 2014 y eliminó a la potencia del orbe.

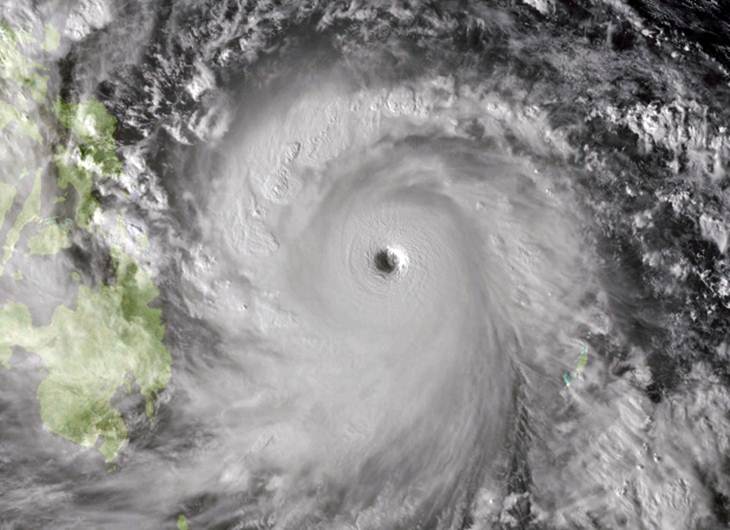
ALERTA EN FILIPINAS POR TIFÓN ´HAIYAN´
El "supertifón" mantiene una trayectoria que va desde Pacífico occidental hacia el centro de Filipinas, por lo que cerca de 40 provincias del país están en estado dealerta, cinco de las cuales se encuentran en alerta máxima/El Universal
<< Anterior - 1| 2| 3| 4| 5| 6| 7| 8| 9| 10| 11| 12| 13| 14| 15| 16| 17| 18| 19| 20| 21| 22| 23| 24| 25| 26| 27| 28| 29| 30| 31| 32| 33| 34| 35| 36| 37| 38| 39| 40| 41| 42| 43| 44| 45| 46| 47| 48| 49| 50| 51| 52| 53| 54| 55| 56| 57| 58| 59| 60| 61| 62| 63| 64| 65| 66| 67| 68| 69| 70| 71| 72| 73| 74| 75| 76| 77| 78| 79| 80| 81| 82| 83| 84| 85| 86| 87| 88| 89| 90| 91| 92| 93| 94| 95| 96| 97| 98| 99| 100| 101| 102| 103| 104| 105| 106| 107| 108| 109| 110| 111| 112| 113| 114| 115| 116| 117| 118| 119| 120| 121| 122| 123| 124| 125| 126| 127| 128| 129| 130| 131| 132| 133| 134| 135| 136| 137| 138| 139| 140| 141| 142| 143| 144| 145| 146| 147| 148| 149| 150| 151| 152| 153| 154| 155| 156| 157| 158| 159| 160| 161| 162| 163| 164| 165| 166| 167| 168| 169| 170| 171| 172| 173| 174| 175| 176| 177| 178| 179| 180| 181| 182| 183| 184| 185| 186| 187| 188| 189| 190| 191| 192| 193| 194| 195| 196| 197| 198| 199| 200| 201| 202| 203| 204| 205| 206| 207| 208| 209| 210| 211| 212| 213| 214| 215| 216| 217| 218| 219| 220| 221| 222| 223| 224| 225| 226| 227| 228| 229| 230| 231| 232| 233| 234| 235| 236| 237| 238| 239| 240| 241| 242| 243| 244| 245| 246| 247| 248| 249| 250| 251| 252| 253| 254| 255| 256| 257 - Siguiente >>
Mostrando 1809 - 1816 de un total de 2054


